ဟာရီကိန်းမဲလီဆာသည် ကာရစ်ဘီယံဒေသတွင် အလွန်ထင်ရှားပြီး ဆိုးရွားလှသည့် သဘာဝဘေးအန္တရာယ်တစ်ခု ဖြစ်ခဲ့သည်။
အဓိကအချက်အလက်နှင့် ထိခိုက်မှုများ
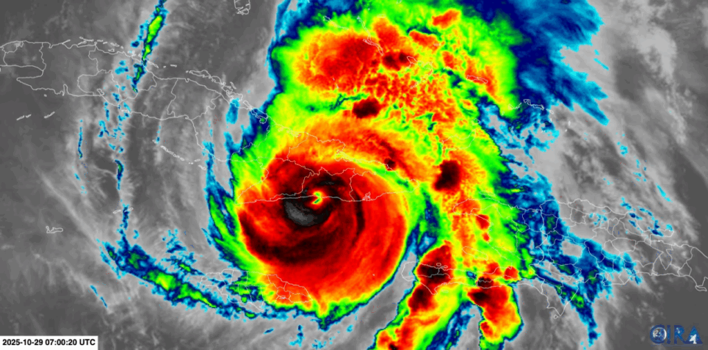
အဆင့်နှင့် အင်အား: ဟာရီကိန်းမဲလီဆာသည် ဂျမေကာနိုင်ငံသို့ ကုန်းတွင်းဝင်ရောက်စဉ်တွင် အဆင့် ၅ (Category 5) မုန်တိုင်းအဖြစ် ရောက်ရှိခဲ့ပြီး၊ စံချိန်တင်ထားသည့် အတ္တလန်တိတ် ဒေသ ဟာရီကိန်းများထဲတွင် အပြင်းထန်ဆုံး တစ်ခုအဖြစ် သတ်မှတ်ခံရသည်။ ကုန်းတွင်းဝင်ရောက်ချိန်တွင် လေတိုက်နှုန်း အမြင့်ဆုံးမှာ တစ်နာရီလျှင် မိုင် ၁၈၅ (၂၉၅ ကီလိုမီတာ) အထိ ရှိခဲ့သည်။
ကုန်းတွင်းဝင်ရောက်ရာ နေရာ။ ၂၀၂၅ ခုနှစ်၊ အောက်တိုဘာလ ၂၈ ရက်၊ အင်္ဂါနေ့တွင် ဂျမေကာနိုင်ငံ၊ အနောက်တောင်ပိုင်း၊ နယူးဟုပ် (New Hope) အနီးတွင် ကုန်းတွင်း ဝင်ရောက်ခဲ့သည်။
ဂျမေကာအပေါ် သက်ရောက်မှုများ:
၎င်းသည် ၁၈၅၁ ခုနှစ် စတင်စံချိန်တင်ချိန်မှစ၍ ဂျမေကာကို တိုက်ရိုက်ဝင်ရောက်သည့် အပြင်းထန်ဆုံး ဟာရီကိန်း ဖြစ်သည်။
ကျွန်းတစ်ဝှမ်းတွင် ဘေးအန္တရာယ်ဖြစ်စေသော ပျက်စီးမှုများ ကို ဖြစ်စေခဲ့ပြီး ရေကြီးရေလျှံ မှုများ၊ မြေပြိုမှုများစွာနှင့် အဆောက်အအုံများ၏ ခေါင်မိုးများကို လွင့်ထွက်စေသည့် ပြင်းထန်သောလေများ ဝင်ရောက်တိုက်ခတ်ခဲ့သည်။
လျှပ်စစ်မီးများ ပြတ်တောက်ခဲ့ပြီး၊ ဖောက်သည် ၅၃၀,၀၀၀ ကျော် မီးပြတ်တောက်မှုကို ကြုံတွေ့ခဲ့ရသည်။
အနောက်တောင်ပိုင်းရှိ စိန့်အဲလိဇဘက်ခ် (St. Elizabeth) ဒေသသည် “ရေလွှမ်းမိုး” ခံခဲ့ရကြောင်း သတင်းများက ဖော်ပြသည်။
မုန်တိုင်းသည် ရွေ့လျားနှုန်း နှေးကွေးခြင်း ကြောင့် ပျက်စီးဆုံးရှုံးမှုများကို ပိုမိုပြင်းထန်စေခဲ့သည်။
သေဆုံးထိခိုက်မှုများ: ကာရစ်ဘီယံဒေသတစ်ဝှမ်းတွင် မုန်တိုင်းကြောင့် အနည်းဆုံး ခုနစ်ဦး သေဆုံးခဲ့ပြီး ဂျမေကာတွင် သုံးဦး၊ ဟေတီတွင် သုံးဦးနှင့် ဒိုမီနီကန်သမ္မတနိုင်ငံတွင် တစ်ဦးတို့ ပါဝင်သည်။
ရွှေ့ပြောင်းခြင်း: ဂျမေကာ၏ မြေနိမ့်ပိုင်းနှင့် ရေကြီးနိုင်သည့် ဒေသများတွင် မဖြစ်မနေ ရွှေ့ပြောင်းရန် အမိန့်များ ထုတ်ပြန်ခဲ့သည်။
လမ်းကြောင်းနှင့် နောက်ဆက်တွဲ ခြိမ်းခြောက်မှုများ
လက်ရှိလမ်းကြောင်း။ ဂျမေကာကို ဖြတ်ကျော်ပြီးနောက် ဟာရီကိန်းမဲလီဆာသည် ကျူးဘား နိုင်ငံဘက်သို့ ဦးတည်နေပြီး အရှေ့ပိုင်းဒေသကို အလွန်အန္တရာယ်ရှိသော ဟာရီကိန်းကြီး အဖြစ် ဝင်ရောက်မည်ဟု ခန့်မှန်းရသည်။
နောက်ထပ်ခြိမ်းခြောက်မှု။ ထို့နောက် ဘာဟားမားစ် နှင့် တာ့ခ်စ်နှင့် ကိုင်ကို့စ် (Turks and Caicos) ကျွန်းများ ဘက်သို့ ရွေ့လျားမည်ဟု ခန့်မှန်းထားပြီး၊ ဟာရီကိန်းအဆင့် အင်အားကို ဆက်လက်ထိန်းထားနိုင်မည် ဖြစ်သည်။
အမေရိကန်အပေါ် သက်ရောက်မှု။ လက်ရှိတွင် အမေရိကန်ပြည်ထောင်စု၏ အရှေ့ဘက် ကမ်းရိုးတန်းသို့ တိုက်ရိုက်ဝင်ရောက်မည့် အန္တရာယ်မှာ နည်းပါး နေသည်။
ရာသီဥတုအခြေအနေ
ရာသီဥတုသိပ္ပံပညာရှင်များက ဟာရီကိန်းမဲလီဆာသည် ရာသီဥတုပြောင်းလဲမှု၏ လက္ခဏာ တစ်ခု ဖြစ်နိုင်ကြောင်း၊ ပုံမှန်ထက် ပိုမိုနွေးထွေးနေသည့် အတ္တလန်တိတ်သမုဒ္ဒရာနှင့် ကာရစ်ဘီယံ ဒေသရှိ ရေပြင်အပူချိန်များက ၎င်း၏ လျင်မြန်စွာ အားကောင်းလာမှုကို တွန်းအားပေးခဲ့ကြောင်းသိရသည်။
နောက်ဆုံး အခြေအနေ အကျဉ်းချုပ် (အောက်တိုဘာ ၂၉ ရက်)
ဟာရီကိန်းမဲလီဆာသည် ဂျမေကာကို အဆင့် ၅ မုန်တိုင်းအဖြစ် တိုက်ခတ်ပြီးနောက် အင်အားအနည်းငယ်လျော့ကျကာ ကျူးဘား နိုင်ငံ၏ အရှေ့ပိုင်းဒေသသို့ ကုန်းတွင်းဝင်ရောက်နေပြီ ဖြစ်သည်။
ဂျမေကာနိုင်ငံ၏ ထိခိုက်ပျက်စီးမှုနှင့် ပြန်လည်ထူထောင်ရေး (Jamaica Impact & Recovery)
ပြင်းထန်မှု။ မဲလီဆာသည် တစ်နာရီ မိုင် ၁၈၅ (၂၉၅ ကီလိုမီတာ) အထိ လေတိုက်နှုန်းဖြင့် ဂျမေကာနိုင်ငံ ကို တိုက်ခတ်ခဲ့ပြီး၊ ၁၇၄ နှစ်အတွင်း စံချိန်တင် အပြင်းထန်ဆုံး မုန်တိုင်းဖြစ်ခဲ့သည်။
ပျက်စီးဆုံးရှုံးမှု:
အခြေခံအဆောက်အအုံများ ပျက်စီးခြင်း၊ လမ်းများပေါ်တွင် သစ်ပင်နှင့် ကျောက်တုံးများ ပြိုကျခြင်း၊ မြေပြိုမှုများနှင့် ရေကြီးမှုများစွာ ဖြစ်ပေါ်ခဲ့သည်။
ဂျမေကာဝန်ကြီးချုပ် အန်ဒရူး ဟိုနက်စ် (Andrew Holness) က နိုင်ငံကို တရားဝင် သဘာဝဘေးအန္တရာယ်ကြုံတွေ့သည့်နိုင်ငံ အဖြစ် ကြေညာခဲ့သည်။
လူ ၅၃၀,၀၀၀ ကျော် လျှပ်စစ်မီး ပြတ်တောက်ခဲ့ပြီး၊ အနည်းဆုံး ဆေးရုံလေးခု ပျက်စီးခဲ့ရာ တစ်ခုမှ လူနာ ၇၅ ဦး ကို ရွှေ့ပြောင်းပေးခဲ့ရသည်။
အပြည်ပြည်ဆိုင်ရာ ကယ်ဆယ်ရေး လေယာဉ်များ လျင်မြန်စွာ ဆင်းသက်နိုင်ရန် လေဆိပ်များကို ကြာသပတေးနေ့ (အောက်တိုဘာ ၃၀ ရက်) တွင် ပြန်လည်ဖွင့်လှစ်နိုင်ရန် မျှော်လင့်ထားသည်။
ကယ်ဆယ်ရေးလုပ်ငန်းများ။ လမ်းများပိတ်ဆို့နေခြင်းကြောင့် ပျက်စီးဆုံးရှုံးမှု အသေးစိတ် ကို အကဲဖြတ်ရန်နှင့် ပြန်လည်ထူထောင်ရေး လုပ်ငန်းများသည် အချိန်ကြာမြင့် နိုင်ကြောင်း တာဝန်ရှိသူများက သတိပေးထားသည်။ လူမှုအဖွဲ့အစည်းများနှင့် ကုလသမဂ္ဂအေဂျင်စီများက အစားအစာ၊ ဆေးဝါးနှင့် အရေးပေါ်ပစ္စည်းများကို စတင်ဖြန့်ဝေရန် စတင်ပြင်ဆင်နေကြပြီ ဖြစ်သည်။
ကျူးဘားနိုင်ငံ၏ အခြေအနေနှင့် မုန်တိုင်းလမ်းကြောင်း (Cuba & Trajectory)
ကျူးဘားသို့ ကုန်းတွင်းဝင်ရောက်ခြင်း: မဲလီဆာသည် ဂျမေကာမှ ထွက်ခွာပြီးနောက် ယနေ့ (ဗုဒ္ဓဟူးနေ့) နံနက်အစောပိုင်းတွင် ကျူးဘားနိုင်ငံ အရှေ့ပိုင်း (ချီဗီရီကိုမြို့အနီး) သို့ အဆင့် ၃ မုန်တိုင်းအဖြစ် ကုန်းတွင်းဝင်ရောက်ခဲ့သည်။ လေတိုက်နှုန်းမှာ တစ်နာရီ ၁၂၀ မိုင် (၁၉၃ ကီလိုမီတာ) ဖြစ်သည်။
ကြိုတင်ပြင်ဆင်မှု: ကျူးဘားသမ္မတ မီဂဲ ဒီယက်ဇ်-ကာနယ် (Miguel Díaz-Canel) က နိုင်ငံသားများကို မုန်တိုင်းအင်အားကို လုံးဝ လျှော့မတွက်ရန် သတိပေးခဲ့ပြီး၊ လူပေါင်း ၅၀၀,၀၀၀ ကျော် ကို ဘေးကင်းရာသို့ ရွှေ့ပြောင်းပေးခဲ့ပြီး ဖြစ်သည်။
နောက်ဆက်တွဲ ခြိမ်းခြောက်မှုများ။ ကျူးဘားကို ဖြတ်ကျော်ပြီးနောက် မုန်တိုင်းသည် အင်အားအချို့ကို ထိန်းသိမ်းထားရင်း ဘာဟားမားစ် (Bahamas) နှင့် တာ့ခ်စ်နှင့် ကိုင်ကို့စ် (Turks and Caicos) ကျွန်းများ ဘက်သို့ ဦးတည်သွားမည်ဟု ခန့်မှန်းရသည်။
အကူအညီ။ သမတထရန့်မှ လေဘေးခံရသည့်ဒေသများကို ကူညီထောက်ပံ့ပေးမည်ဟု လေယဥ်ပေါ်တွင်ပြောကြားခဲ့သည်။
ခေတ်မျက်လုံးမှရှာဖွေစုဆောင်းတင်ဆက်သည်။












